Agricultura
Saiba identificar a "falsa couve" que intoxicou família em MG
Extremamente tóxica e facilmente confundível com couve verdadeira, a nicotiana glauca representa um grave perigo para humanos e animais

Redação Agro Estadão*
11/10/2025 - 08:00

A Nicotiana glauca, popularmente conhecida como “falsa couve”, é uma planta que representa um enorme perigo.
Apesar de sua aparência inofensiva, esta planta é extremamente tóxica e tem sido responsável por incidentes graves, incluindo casos de confusão com plantas comestíveis comuns.
Um exemplo alarmante ocorreu em Patrocínio, Minas Gerais, onde quatro adultos foram internados em estado grave após consumirem a “falsa couve”.
A família confundiu a planta tóxica com a couve verdadeira, resultando em uma situação potencialmente fatal. Este incidente serve como um alerta concreto para a comunidade rural sobre os perigos da nicotiana glauca e a importância de saber identificá-la corretamente.
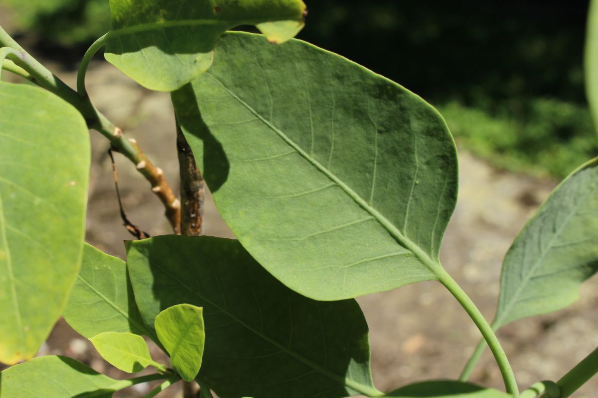
Características da nicotiana glauca e a perigosa semelhança com a couve
A nicotiana glauca é originária da América do Sul, porém está amplamente disseminada no Brasil. Esta planta pertence à família Solanaceae, a mesma do tabaco, e pode crescer como um arbusto ou uma pequena árvore.
Suas características botânicas incluem folhas ovaladas, lisas, de cor verde-acinzentada, flores tubulares amarelas ou alaranjadas, e frutos em forma de cápsula.
A semelhança visual das folhas da nicotiana glauca com as da couve é a principal causa de envenenamentos acidentais em humanos. Esta semelhança é particularmente perigosa em áreas onde a planta cresce espontaneamente próximo a plantações ou áreas de pastagem.
As folhas da “falsa couve” possuem uma textura aveludada e uma coloração que, à primeira vista, pode parecer inofensiva e até comestível para leigos.
É importante ressaltar que, em algumas fases do seu desenvolvimento, a semelhança entre a Nicotiana glauca e a couve é ainda mais acentuada.
Os venenos da nicotiana glauca: alcaloides e seus efeitos tóxicos

A toxicidade da nicotiana glauca se deve principalmente à presença de alcalóides piridínicos, com destaque para a anabasina. Estes compostos são neurotóxicos e afetam tanto o sistema nervoso central quanto o periférico.
A anabasina, em particular, é cinco vezes mais potente que a nicotina, tornando a ingestão das folhas da “falsa couve” extremamente perigosa.
O mecanismo de ação desses alcalóides no organismo envolve sua atuação como agonistas nos receptores nicotínicos de acetilcolina.
Inicialmente, eles estimulam esses receptores, seguido por um bloqueio, o que resulta em uma série de efeitos tóxicos no corpo.
Sinais e sintomas de intoxicação por nicotiana glauca
Em humanos, os sintomas de envenenamento por nicotiana glauca podem se manifestar rapidamente e incluem:
- Náuseas, vômitos e diarreia;
- Dor abdominal e salivação excessiva;
- Sudorese, tontura e tremores.
Em casos mais graves, podem ocorrer convulsões, alterações na frequência cardíaca (taquicardia ou bradicardia), dificuldade respiratória e, se não tratado prontamente, coma e morte.
A rapidez com que os sintomas aparecem torna essencial o atendimento médico imediato em caso de suspeita de ingestão.
Animais também em risco
O gado e outros animais de criação também são suscetíveis à intoxicação pela planta. O risco aumenta em períodos de escassez de forragem ou quando a planta cresce abundantemente em pastagens.
Os sintomas em animais são semelhantes aos humanos, incluindo incoordenação motora, tremores, salivação excessiva, cólicas e dificuldade respiratória.
No entanto, esses sinais podem ser mais difíceis de identificar em animais, o que ressalta a importância da vigilância constante por parte dos produtores rurais.

Para prevenir acidentes, é fundamental que os produtores rurais saibam identificar corretamente a Nicotiana glauca. Algumas características distintivas incluem:
- Folhas mais finas e com textura aveludada em comparação com a couve verdadeira;
- Coloração verde-acinzentada das folhas;
- Presença de flores tubulares amarelas ou alaranjadas.
Em caso de dúvida, é sempre recomendável consultar um especialista antes de consumir ou permitir que animais se alimentem de plantas desconhecidas.
Produtores devem ainda estar atentos à presença desta planta em suas propriedades, removendo-a de áreas de cultivo e pastagem.
*Conteúdo gerado com auxílio de Inteligência Artificial, revisado e editado pela Redação Agro Estadão

Newsletter
Acorde
bem informado
com as
notícias do campo
Mais lidas de Agricultura
1
Javalis avançam sobre lavouras e nascentes em Bonito (MS)
2
Metanol, e-metanol e etanol: entenda as diferenças essenciais
3
Araguaia é a nova fronteira agrícola de Goiás
4
Metade do algodão brasileiro é produzida em apenas três áreas, aponta Embrapa
5
Sorgo vira o grão da vez com a demanda da China
6
Frutas que não são frutas? Conheça algumas

PUBLICIDADE
Notícias Relacionadas

Agricultura
Café indígena da Amazônia atinge nota máxima e faz história
Combinação de altitude moderada, biodiversidade nativa e práticas sustentáveis confere à bebida aspectos sensoriais complexos e raros

Agricultura
Cacau desponta como nova aposta do Agro no Norte de MG
Levantamento inédito da Emater-MG, mostra área plantada de 480 hectares e produção anual estimada de 161 toneladas

Agricultura
Anater seleciona entidades para promover regularização ambiental no RS
Assistência técnica será ofertada a 2,1 mil propriedades da agricultura familiar afetadas por eventos extremos

Agricultura
Petrobras reativa fábricas e mira 20% da demanda nacional por fertilizantes
Reativação das unidades na Bahia e de Sergipe ainda este ano marca nova fase de investimentos da estatal
Agricultura
Produtores criticam demora no crédito para renegociação de dívidas
Endividados e sem crédito, produtores do RS vão plantar menos; Farsul confirma áreas sem preparo mesmo no início de safra
Agricultura
China emite alerta sobre excesso de chuva em áreas de milho, trigo, soja e arroz
Há risco de alagamento em importantes regiões agrícolas da China, o que pode comprometer a qualidade da safra atual e o plantio da próxima
Agricultura
MG: citros crescem 17,2% e somam 1,48 milhão de toneladas
Governo mineiro atribui avanço ao controle do greening. Entre janeiro e agosto, a produtividade média estadual foi de 24,37 toneladas por hectare
Agricultura
Plantio de milho verão 2025/2026 atinge 84% da área no PR
Segundo o Departamento de Economia Rural (Deral), 99% das lavouras estão em boas condições e apenas 1% em condição média